Tree Insects, Diseases, and Invasive Species

A Japanese beetle on a leaf

Protecting Whitby's Trees: Together, We Can Make a Difference 

 Whitby’s parks, trails, and green spaces are home to a rich urban forest that provides countless community benefits. While some insects and diseases don't require action, others can impact tree health and the environment.

The Town is here to support residents with education, resources, and best practices in tree care. By working together, we can help protect and strengthen our shared urban forest.

Explore the menus below to learn about common tree insects, diseases, and invasive species in our area, along with practical tips to help you care for the trees in your yard. 

Common Insects (including invasive species)

Small aphids on a green leaf

Seeing clusters of tiny insects on leaves or stems? You might be dealing with aphids, common sap-sucking insects found on many types of trees. 

What is it?

Aphids are small, soft-bodied insects that feed on plant sap, often leaving a sticky substance called honeydew on leaves.

Should I be worried?

In small numbers, aphids are mostly a nuisance and don’t pose a serious threat to trees. However, heavy infestations can cause leaf yellowing, curling, and reduced growth. 

What does the Town do?

Whitby does not typically treat aphids on public trees, as natural predators like ladybugs often keep populations in check.

What can you do for your privately owned trees?

Encourage beneficial insects like ladybugs to control aphids naturally, you can purchase them at the store, or try a strong spray of water to knock aphids off the leaves. Another helpful trick is to wrap the trunk with sticky tape to prevent ants from carrying aphids back up the tree. If infestations are heavy, consider consulting an ISA-certified arborist for possible management strategies. 

A Boxelder Bug

Noticing clusters of bugs around your maple tree, especially in the fall? You may be dealing with Boxelder bugs, a common nuisance insect in Ontario.

What is it?

The Boxelder bug is a black and red insect that feeds primarily on the seeds, leaves, and tender twigs of manitoba maple trees, as well as other maples. While they don’t typically cause serious harm to trees, they can become a nuisance when they gather in large numbers on buildings or try to move indoors for winter.

Should I be worried?

Generally, no. Boxelder bugs don’t pose a serious threat to the health of your trees, and they don’t bite or damage property. However, their large numbers can be unsightly, especially when they congregate on warm surfaces or enter homes.

What does the Town do?

The Town does not treat Boxelder bugs, as they are not considered harmful to tree health. 

What can you do for your privately owned trees?

If Boxelder bugs are a problem on your property, sealing cracks and entry points around your home can help prevent them from coming indoors. In the yard, gently spraying them off with water or vacuuming them up can help manage their numbers. For persistent issues, consider speaking with a pest control professional.

An Emerald Ash Borer on a green leaf

Seeing D-shaped holes in your ash tree’s bark? You might be dealing with Emerald Ash Borer, an invasive beetle that has severely impacted ash trees across Ontario.

What is it?

Emerald Ash Borer (EAB) is a metallic green beetle native to Asia. It was first detected in Canada in 2002 near Windsor, Ontario, and has since spread rapidly, killing millions of ash trees by feeding under the bark and cutting off the tree’s ability to transport water and nutrients.

Should I be worried?

Yes. EAB is highly destructive. Once infested, ash trees typically die within 2–4 years if left untreated. Look for canopy thinning, bark splitting, and distinctive D-shaped exit holes.

What does the Town do?

The Town of Whitby has already removed many ash trees on public property that posed safety hazards due to EAB. Whitby monitors ash trees on public property and removes those that pose a safety risk.

What can you do for your privately owned trees?

If you have an ash tree, check for signs of EAB. Speak to an ISA-certified arborist about treatment options or safe removal. Planting a new, diverse tree species can help restore canopy cover and long-term resilience.

A webworm on a leafy tree Eastern Tent Caterpillar

Noticing unsightly webs in your trees? Here’s how to tell what you’re seeing.

What is it?

  • Fall Webworm (left picture) – If you're seeing large, messy webs at the ends of branches in late summer or fall, you're likely dealing with fall webworms. These caterpillars feed inside their webbed nests and can be found on a wide variety of deciduous trees. 

  • Eastern Tent Caterpillar (right picture)– Webs found in the branch crotches during spring (April to June) are typically caused by eastern tent caterpillars. These caterpillars leave their webbing during the day to feed and then return to the nest at night.

Should I be worried?

Fall webworm and eastern tent caterpillar are more of a cosmetic issue and rarely harms trees significantly.

What does the Town do?

The Town does not treat fall webworm or eastern tent caterpillar on town trees, as the damage is minimal and rarely affects tree health.

What can you do for your privately owned trees?

If the nests bother you, you can remove them by hand or have an ISA-certified arborist prune them out. Otherwise, the caterpillars will leave on their own as they mature.

Seeing brown, speckled leaves on your honey locust tree? This might be due to the honey locust plant bug, a common pest. 

What is it?

The honey locust plant bug feeds on honey locust leaves, leaving small, discolored spots. This pest often causes early leaf drop but rarely does lasting damage. 

Should I be worried?

This pest is mainly a cosmetic issue and generally doesn’t threaten the overall health of the tree.

What does the Town do?

The Town does not treat honey locust plant bugs on public trees, as the impact is usually minor.

What can you do for your privately owned trees?

In most cases, treatment is unnecessary. If infestations are heavy, consider consulting an ISA-certified arborist for possible management strategies. 

Japanese Beetle

Have you noticed leaves on your linden tree looking skeletonized or lacy? That might be the work of the Japanese beetle, an invasive insect that loves to munch on leaves.

What are they?

Japanese beetles are invasive insects from Japan. They feast on the leaves of linden trees, but can also attack over 300 other plants in your yard or garden.

Should I be worried?

While they can be a nuisance, Japanese beetles typically don't cause long-term damage to healthy trees. However, a heavy infestation can weaken a tree over time.

What does the Town do?

Since these beetles are widespread and don't usually cause severe problems, the Town of Whitby doesn't currently have a program to control them.

What can you do for your privately owned trees?

There are a couple of ways to fight back against these beetles on your own property:

  • Be a Beetle Bouncer: Pick the beetles off by hand and drop them in soapy water.
  • Shake and Dispose: Spread a drop cloth under your tree in the early morning. Then, gently shake the branches to dislodge the beetles. Quickly collect them from the cloth and dispose of them in soapy water.

A note on traps: Japanese beetle pheromone traps are available on the market, but use them with caution. These traps can attract large numbers of beetles to your yard, potentially increasing damage to nearby plants rather than reducing it.

Need More Help?

If the Japanese beetles are causing serious problems for your trees, consider calling a certified arborist. They can assess the situation and recommend additional treatment options.

Maple Bladdergall Mite Spindle Gall Mites

Have you noticed bumpy green or pinkish growths on the leaves of your maple tree? Those are likely caused by tiny insects called maple bladdergall or spindle gall mites.

What are they?

Maple bladdergall and spindle gall mites are like microscopic roommates on your tree. They feed on the leaves, causing the leaf to form a pouch (gall) around them for protection. These galls are more common in some years than others, but they're mostly harmless to the overall health of the tree.

Should I be worried?

The good news is, these galls are mainly a cosmetic issue. They might look a little strange, but they won't seriously harm your tree. In fact, as your tree matures and its leaves get stronger, it's likely to outgrow these mites altogether.

What does the Town do?

Since these mites don't cause major damage, the Town doesn't treat them on public trees.

What can you do for your privately owned trees?

In most cases, no action is needed. However, if a tree is very young, stressed, or experiences heavy infestations year after year, it’s a good idea to consult a certified arborist. An arborist can assess the tree’s health and recommend management options if necessary.

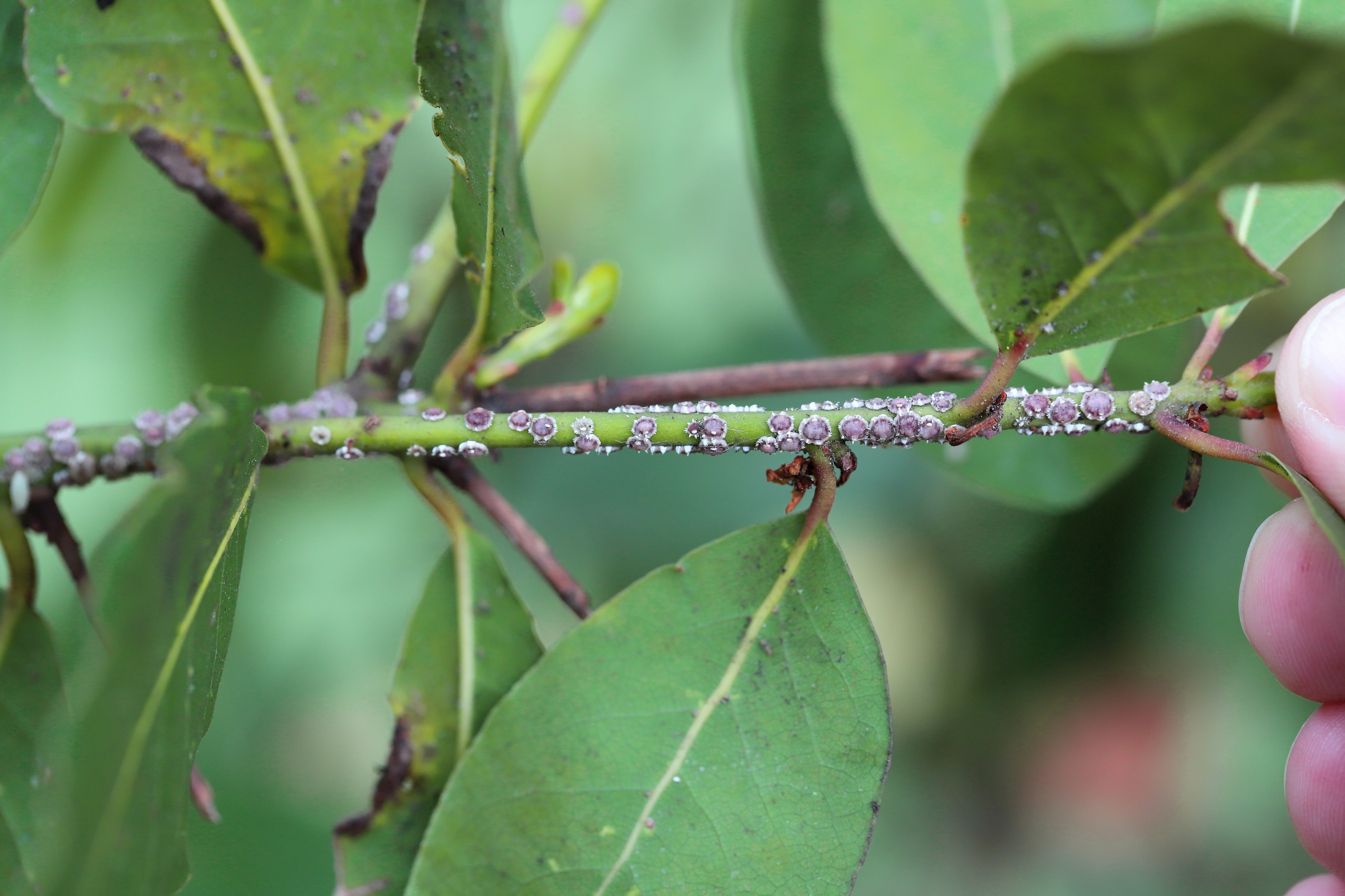
Scales on a shrub

Do you see small, round bumps on branches or leaves? Scales might be the culprit. These tiny insects attach to the bark and leaves, feeding on sap. 

What is it?

Scale insects are sap-feeding pests that attach to twigs, branches, or leaves, where they can sometimes stunt growth or cause branch dieback in high numbers. 

Should I be worried?

Mild infestations usually aren’t a problem, but heavy infestations can weaken trees over time.

What does the Town do?

The Town of Whitby generally does not treat scale infestations on public trees, as they often balance out naturally. 

What can you do for your privately owned trees?

Consider introducing natural predators, such as ladybugs, or gently wash off the scales with a strong spray of water. If scales are causing serious problems for your trees, consider calling a certified arborist. They can assess the situation and recommend additional treatment options.

A spongy moth on a tree Spongy Moth egg sac on a tree

The spongy moth is an invasive insect originally from Europe that arrived in Ontario in 1969. These visitors can munch on the leaves of most hardwood trees in your yard. The spongy moth is considered cyclical in Ontario because its population naturally rises and falls over time. Every 7 to 10 years, outbreaks occur, leading to severe tree defoliation. After a few years of high numbers, natural factors like predators, disease, and food shortages cause the population to crash, staying low until the next outbreak.

What do they look like?

Spongy moth caterpillars can grow from 5 to 60 millimeters long and are covered in dark hairs. Look for five pairs of blue dots and six pairs of red dots along their back to identify them.

Spongy Moths in Whitby:

These pests were found in our area in 2020. Outbreaks typically last 2-5 years before natural controls like disease and predators kick in and reduce their numbers.

Should I be worried?

Healthy trees can usually bounce back from a spongy moth attack, even after a few years of heavy defoliation (leaf loss). New leaves should grow back within 2-3 weeks or by early July, depending on the year.

What's the Town doing?

The Town of Whitby keeps a close eye on spongy moth outbreaks, which are cyclical (every 7-10 years). 

What can you do for your privately owned trees?

There are a few ways to help manage spongy moth populations on your own property:

  • Handpick Caterpillars (May to July): This is most effective for small trees and shrubs. Gently shake the branches to dislodge caterpillars, then collect them by hand while wearing gloves.

    • Dispose of them in soapy water.
  • Burlap Banding (May to September): Once caterpillars reach about an inch long (mid-June), they'll climb down the trunk to hide.

    • Wrap burlap cloth around the trunk and secure it with twine.
    • Create an overhang where caterpillars can hide during the day.
    • Check the trap daily and remove any hiding caterpillars, disposing of them in soapy water.
  • Egg Mass Removal (August to May): Look for spongy moth egg masses on tree bark and scrape them off.

    • Use a tool like a butter knife and place the egg masses in soapy water to destroy them.
    • Be careful when working at heights, especially with ladders.
    • Watch this video to see how it's done.

If spongy moth are causing serious problems for your trees, consider calling a certified arborist. They can assess the situation and recommend additional treatment options.

Diseases

Anthracnose diseased infected Maple leaves

Have you noticed brown, curled leaves on your tree, especially after a wet spring? It could be anthracnose, a fungal disease that affects a variety of trees, particularly maples, oaks, and sycamores. 

What is it?

Anthracnose is a fungus that causes irregular, dark brown spots and blotches on leaves, which may lead to premature leaf drop. It typically thrives and thrives in years with excessive rainfall and wet conditions. 

Should I be worried?

While anthracnose can weaken trees, it generally isn’t fatal. Healthy trees can often recover without intervention, although repeated infections over several years could lead to more significant stress. 

What does the Town do?

The Town of Whitby doesn’t treat anthracnose on public trees as it generally doesn’t pose a severe risk to tree health.

What can you do for your privately owned trees?

Monitor rainfall and avoid watering during wet conditions. Rake up and dispose fallen leaves to reduce the chances of the fungus re-infecting the tree the following spring.  

Notice sunken, discolored patches on branches or trunks? This might be a canker, a type of fungal or bacterial infection. 

What is it?

Cankers are localized dead areas on stems, branches, or trunks caused by various pathogens. They may cause branches to die back and can sometimes lead to tree decline.

Should I be worried?

While cankers can weaken trees, their impact varies. In healthy trees, the effects are often limited, but stressed trees can suffer more serious damage. 

What does the Town do?

Town of Whitby ISA Certified Arborists remove infected branches as part of the 5–7 year Winter Block Pruning Program, or when confirmed through an inspection following a service request. In most cases, branch removal is sufficient and does not warrant the removal of the entire tree.

What can you do for your privately owned trees?

Hire an ISA-certified arborist to prune out affected branches to prevent the infection from spreading. Keep your tree healthy to reduce susceptibility. 

What is it?

Oak wilt is a destructive fungal disease that affects oak trees, especially those in the red oak group. It spreads through root grafts and by beetles that carry fungal spores from infected wood.

Should I be worried?

Current Status in Whitby:
While oak wilt has been detected in parts of Ontario, it has not been detected in Whitby at this time.

Detection in Canada:
Oak wilt was first confirmed in Ontario in 2023, in the Niagara Falls area of Southern Ontario. It has also been found in the Township of Springwater (near Barrie) and Niagara-on-the-Lake, and may be present in other parts of Southern Ontario.

What does the Town do?

The Town of Whitby is proactively monitoring the health of public oak trees as part of its regular tree inventory and maintenance program. In response to the emergence of oak wilt in Ontario, the Town is:

  • Avoiding unnecessary pruning of oaks during the high-risk period (early April to end of September)
  • Staying informed to monitor any spread of the disease
  • Developing response protocols in the event of a confirmed case in Whitby

What can you do for your privately owned trees?

  • Avoid pruning oak trees from April to August

  • Do not transport firewood, especially from infected or unknown areas

  • Inspect your oak trees regularly and report any suspicious symptoms to the Town or a certified arborist

Symptoms to Watch For:

  • Sudden wilting and browning of leaves

  • Premature leaf discoloration starting at the tips and moving inward

  • Leaves turning dull green, brown, or yellow and falling in summer

  • Rapid branch dieback and thinning in the canopy

  • Cracks in the trunk or large branches of dead trees

  • Presence of white, grey, or black fungal mats under the bark, often with a fruity smell

  • Bark cracks caused by spore mats pushing outward

For the most up-to-date information, visit the Canadian Food Inspection Agency (CFIA) Oak Wilt page.

Powdery Mildew leaves

Have you noticed a white, powdery coating on the leaves of your trees? That might be powdery mildew, a fungal disease that can affect many plants.

What is it?

Powdery mildew is like a fungus party, especially during wet weather and when air circulation is poor. It loves to grow on the leaves of trees, creating unsightly white patches.

Should I be worried?

While powdery mildew might not look good, it usually doesn't cause serious harm to the overall health of your tree.

What does the Town do?

Since powdery mildew is a common issue and doesn't typically cause major damage, the Town of Whitby doesn't currently have a program to treat it on public trees.

What can you do for your privately owned trees?

If you're concerned about powdery mildew on your own property, please don't try to treat Town trees yourself. Instead, consider hiring a certified arborist from the International Society of Arboriculture (ISA). They can assess the situation and recommend the best course of action for your trees.

Tar Spot

Have you noticed black, tar-like spots on your maple tree's leaves? It's likely a common condition called tar spot, caused by a naturally occurring fungus.

What is it?

Tar spot is like a harmless prank played by a fungus. It creates dark spots on the leaves that might look concerning, but they're simply cosmetic and won't hurt the overall health of your tree.

Should I be worried?

No need to worry! Tar spot is just a visual issue and doesn't cause any damage to the tree itself.

What does the Town do?

Since tar spot is harmless, the Town of Whitby doesn't treat it on public trees.

What can you do for your privately owned trees?

If you'd like to minimize future tar spot outbreaks on your property, you can rake up and dispose fallen leaves in the fall. These leaves harbor the fungus spores that spread the following spring. By removing them, you can help reduce the chance of tar spot reappearing next year.

Weather-Related Conditions

Seeing vertical splits in your tree’s bark during winter? Frost cracks may be the cause, often due to fluctuating winter temperatures. 

What is it?

Frost cracks are vertical splits in the bark, caused when rapid temperature changes cause the bark to contract and expand too quickly.

Should I be worried?

In most cases, frost cracks are not serious, although they may leave trees more vulnerable to pests and disease.

What does the Town do?

The Town does not treat frost cracks on public trees as they often heal naturally over time. Because they often occur on the stem of the tree, there is really nothing that can be done.

What can you do for your privately owned trees?

Consider wrapping young or thin-barked trees in the winter to prevent frost cracks. An ISA-certified arborist can provide guidance if cracks are extensive. 

Seeing browning on leaf edges in the summer heat? This could be leaf scorch, often caused by hot, dry conditions. 

What is it?

Leaf scorch occurs when trees don’t get enough water, leading to browning and wilting on leaf edges. It’s most common in hot, dry weather. 

Should I be worried?

Leaf scorch doesn’t kill trees, but it indicates that the tree is under stress. 

What does the Town do?

Whitby does not treat leaf scorch on public trees, as it’s typically a temporary condition that improves with natural rainfall and proper soil moisture.

What can you do for your privately owned trees?

Water deeply and consistently during dry spells. Mulching around the base can help conserve soil moisture. If scorch is recurring, consider consulting an ISA-certified arborist.  

Other

lichen

Ever noticed greenish-grey patches or fuzzy growths on the bark of your trees? That's likely lichen, a fascinating life form you don't need to worry about.

What is it?

Lichen isn't actually a single organism, but a team-up between a fungus and an algae! They live together in a symbiotic relationship, where both benefit from each other. The fungus provides structure and protection, while the algae creates food through photosynthesis.

Should I be worried?

Lichen is completely harmless to trees. In fact, its presence can sometimes indicate a healthy environment because it thrives in clean air.

What does the Town do?

Since lichen is beneficial and not a threat, the Town of Whitby doesn't treat it on public trees.

Join the Effort! 

Become a Tree Steward: Learn how to keep your own trees healthy and prevent the spread of invasives on your property.  

These resources can help: 

By working together, we can minimize the impact of invasive species and ensure healthy trees for everyone to enjoy in Whitby's green spaces. 

Subscribe Today!

Our online newsroom makes it easy for you to stay informed. Subscribe and get the information you need, when you need it.
WhitBEE WhitBEE